主页
联络我们
品牌
品酒笔记
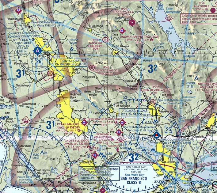
纳帕与索诺玛领空数字航图