主頁
聯繫我們
品牌
品酒筆記
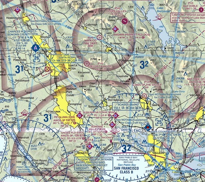
納帕與索諾瑪領空數字航圖